Работой ЦКБ-15 в период строительства серии руководили В.И. Неганов, А.В. Перевозчиков, В.Я. Демьянченко.
Военную приёмку заказов осуществляли капитан 3 ранга А.Е. Яковлев (ледоколы проекта 97) и майор В Н. Нестеров (ледоколы проектов 97А и 97Б).
Представители данного типа проектировались как ледоколы-буксиры, предназначенные для проводки судов в ледовых условиях портов и припортовых вод, их околки, буксировки, кантовки и швартовки.
Назначение ледокола предопределило высокие требования к его манёвренным качествам и необходимость ограничения осадки, что сказалось на главных размерениях судна, конструкции его движительного комплекса, весовых показателях и т. д.
Ледокол проекта 97 – судно с двумя непрерывными палубами, удлинённым и возвышенным баком, смещённой в нос рубкой и расположенным в средней части машинным отделением.
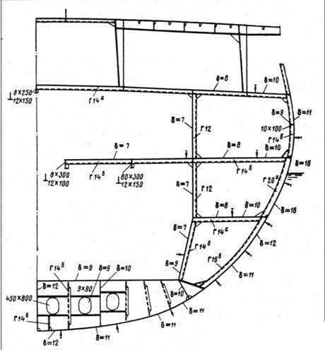
Конструкция корпуса
Корпус целиком сварной. Все его связи спроектированы с учётом требований Правил Регистра СССР, предъявляемых к судам I категории на класс УЛР 4 /1 С (ледокол). Корпус имеет поперечную систему набора; по всей длине установлены промежуточные шпангоуты того же профиля, что и основные.
Шпация между 13-м и 87-м шпангоутом принята 600 мм, в нос от 13-го шпангоута и в корму от 87-го – 680 мм. В оконечностях судна основные и промежуточные шпангоуты поставлены нормально к борту.
Ледовый пояс имеет толщину 16 мм в средней части и кормовой оконечности и 18 мм в носовой части. Материал – легированная сталь. Из неё же выполнен и бортовой набор. Ледовые нагрузки, выдерживаемые бортом, характеризуются величинами, приведёнными в таблице.
Связи корпуса, не подверженные ледовым нагрузкам, спроектированы согласно требованиям Регистра и выполнены из стали марки 09Г2 или Ст.4с. Форштевень и ахтерштевень – лито-сварной конструкции.
За основу теоретического чертежа был принят корпус трофейного немецкого ледокола «Илья Муромец» (построенного по заказу Германии в Швеции в 1942 г. и первоначально называвшегося «Eisbar»). Для уменьшения ледового сопротивления обводы судна выполнены без плоских участков.
Ледокол имеет три стальных гребных винта со съёмными лопастями: один носовой и два кормовых. Диаметр носового винта – 2,7 м; кормовых – 3,5 м; шаговое отношение соответственно равно 0,65 и 0,70.

Судно разделено на восемь главных водонепроницаемых отсеков. Кроме того, в машинных отделениях установлены продольные водонепроницаемые переборки, создающие «второй борт». Ледокол оборудован креновыми и диф- ферентными цистернами.
Для уменьшения шумности в жилых и служебных помещениях все главные дизель-генераторы расположены в отдельном отсеке, а обслуживающие их вспомогательные механизмы вынесены в основном в отделение вспомогательных дизель- генераторов. Изменение числа оборотов главных дизелей осуществляется из центрального поста управления, что позволило разместить вахту в относительно «тихом» отсеке вспомогательных дизель- генераторов и сократить команду на шесть человек, так как постоянной вахты в отделении главных дизель-генераторов не требуется. На нижней палубе между отсеками дизель-генераторов расположен центральный пост управления, где установлены главный распределительный щит, щит и пульт электродвижения.
Команда размещается в двухместных каютах на верхней палубе, комсоставу (13 человек) отведены одноместные каюты на полубаке и первом мостике. Каюты капитана и старшего помощника состоят из кабинета, спальни и санузла.
Кают-компания и помещения старшего комсостава отделаны фанерой твёрдых пород дерева (бук, дуб), а помещения остального комсостава – декоративной фанерой ДОФ или слоистым пластиком.
Для теплоизоляции помещений ледокола вместо ранее применявшегося экспанзита (пробковой прокладки) широко использован штапельный стекловойлок (стекловата).
Любопытный факт: мебель проектировщики выбрали из образцов, разработанных для атомного ледокола «Ленин».
В жилых помещениях предусмотрены искусственная вдувная вентиляция и зимнее кондиционирование, обеспечивающее заданные параметры воздуха при температуре наружного воздуха до -35° С.
На втором мостике размещены радио-, ходовая и штурманская рубки. Ходовая рубка простирается от борта до борта.
Скорость хода на чистой воде – 13,5 – 14 уз. Запас топлива обеспечивает 17-суточную работу главных и вспомогательных дизель-генераторов на полную мощность. Дальность плавания судна при скорости 13,5 уз. достигает 5600 миль. При работе двух дизель-генераторов на два кормовых винта скорость хода составляет около 13 уз., а дальность плавания увеличивается до 7800 миль.
Непотопляемость обеспечена при затоплении одного любого отсека. Ледокол остаётся на плаву, имея положительные надводный борт и аварийную остойчивость при затоплении двух крайних носовых или кормовых отсеков.

Мидель-шпаноут ледокола «Василий Прончищев»
Энергетическая установка
Главная ЭУ – трёхвальная дизель- электрическая на постоянном токе. Гребные электродвигатели получают энергию от трёх главных дизель-генераторов.
Главные дизель-генераторы 13Д100 состоят из дизелей типа Д100, изготовленных на Харьковском паровозостроительном заводе имени В.А. Малышева, и двух двухъякорных генераторов ПН-145 мощностью по 625 кВт при напряжении 400 В.
Схема электроснабжения позволяет обеспечить следующие режимы:
– работу одного из двух дизель-гене- раторов на носовой гребной электродвигатель;
– работу двух любых дизель-генера- торов на два кормовых гребных электродвигателя;
– работу трёх дизель-генераторов на два кормовых гребных электродвигателя;
– работу любого дизель-генератора на два кормовых гребных электродвигателя.
На ледоколах проекта 97 впервые в отечественном судостроении была создана автоматизированная система электродвижения на постоянном токе с новыми принципами регулирования работы гребных электродвигателей.

Форштевень ледокола «Василий Прончищев»

Кормовая оконечность корабля проекта 97П «Руслан»

Особенность принятой системы движения заключалась в том, что уровень возможного использования мощности главных дизель-генераторов постоянного тока устанавливался заранее принятой ступенью в 610, 710 или 810 об/мин. Дальнейшее регулирование скорости и заданной частоты вращения гребных электродвигателей осуществлялось или из двух постов управления, размещаемых в ходовой рубке, или из центрального поста энергетической установки. В любых случаях частота вращения главных дизель-генераторов оставалась неизменной, что при изменении мощности установки не приводило к смене частоты вращения первичных двигателей и благоприятно сказывалось на сохранении их моторесурса, особенно при частых реверсах во время маневрирования во льдах. Система оказалась весьма эффективной, поэтому впоследствии многие её принципы успешно применялись на дизель-электрических судах типа «Амгуэма» и атомных ледоколах второго поколения.
На судне также установлены три вспомогательных дизель-генератора переменного тока ДГТ 200/1 общей мощностью 600 кВт с двигателями 6ч 25/34. На стоянке подача электроэнергии обеспечивается стояночным дизель-генератором мощностью 100 кВт.
Для уменьшения шумности при работе главных дизель-генераторов забор воздуха осуществляется не из помещения, а снаружи, кроме того, по подволоку отделения прокладывается шумо- поглощающая изоляция из капронового волокна.