Мы начали искать намек на то, что «что- то» должно было произойти за две недели до выхода февральской статьи на Space. com. Серия снимков предположительно с Марса внезапно появилась на сайте, источником их была компания под названием IEC. Это были цветные, инфракрасные и радиоизображения, сделанные аппаратом «Anomaly 502», предположительно с марсианских руин прямо под поверхностью. У нас сразу же возникли сомнения по поводу правдоподобности этих снимков. Скорее всего, это было что- то вроде «пробного шара», который мог принадлежать разоблачающей модели Брукингса: запустить какой- нибудь снимок, подождать реакцию на него и решить, продолжить идти дальше или нет. Поэтому, пока мы решали, как на это реагировать, время и содержание публикации встряхнули наши умы и заставили задуматься.
Почему именно за несколько недель до публикации статьи на Space. com и до пресс–конференции? И почему именно инфракрасные и другие проникающие технологии? Можно было бы просто придумать какую- нибудь аномалию? А потом мы вспомнили: «Марс Одиссей» не был первым земным зондом, применяющим проникающие технологии на марсианской орбите.
В конце 80–х русские уже посылали два зонда на Марс, Фобос 1 и 2, чтобы исследовать поверхность, атмосферные особенности планеты и состав одного из спутников (Фобоса). Фобос 1 потерялся по пути, а Фобос 2 полностью преодолел расстояние до Марса и просуществовал всего лишь несколько недель. Их исчезновение стало материалом для изучения НЛО, но аппаратом было сделано несколько значимых наблюдений, касающихся Фобоса и Марса. Одним из удивительных открытий было то, что плотность Фобоса оказалась крайне аномальной. В статье, опубликованной 19 октября 1989 года в журнале «Природа», говорилось, Фобос имеет неестественную плотность 1,95 г/см (а может, 19,5?), это могло значить, что он на одну треть пуст внутри. Если считать, что оба марсианских спутника — захваченные астероиды, то это открытие было просто невероятным. Теоретически такой плотный объект, как Фобос, не мог «опустеть» сам собой, поэтому возникает вопрос — кто мог его «опустошить» и зачем?
Но далее было еще интереснее, когда Фобос 2 развернулся и увидел сам Марс. На аппарате был установлен инфракрасный спектрометр, устройство, мало чем отличавшееся от инфракрасной термокамеры «Одиссея». И хотя у него не было того разрешения, которым обладала THEMIS, русские ученые смогли получить возможность разглядеть объекты, скрытые прямо под поверхностным слоем песка или пыли, несмотря на их достаточно замороженное состояние.
В 1989 году, сразу после исчезновения Фобос 2, независимый английский Канал 4 обнародовал открытия, сделанные зондом. Среди них был показан довольно симпатичный снимок района Гидроэйтс Хаос (0.9°N, 34.3°W), на котором был изображен вполне земной пейзаж в видимом световом спектре, но когда инфракрасный фильтр наводился на то же место, прямо под песком появлялся удивительный рисунок. Его прямые, геометрически правильные линии, охватывающие площадь примерно с Лос–Анджелес, очень походили на очертания города под песком. Хотя некоторые из этих деталей казались выпрямленные сканером, остальные были странным образом невыровненными, иногда кривыми и геометрически неправильными, как будто бы они покрывали собой неровную поверхность. Они в точности напоминали что- то вроде засыпанной песком (прямой / геометрической) конструкции или системы туннелей.

Очевидно, что огромному количеству людей все это могло показаться сверхъестественным. Комментарии к программе, сделанные доктором Джоном Беклаком из Лондонского научного музея, кстати довольно здравомыслящим человеком, не оставляли сомнений по поводу этих снимков. Стоя напротив фотографий, которые были предоставлены с помощью русских (тогда еще был Советский Союз) и казались очень ясными и понятными, Беклак заявил: «Похожий на город объект имеет ширину шесть километров и вполне может напоминать Лос- Анджелес, если смотреть сверху».
Эта передача была показана на пресс–брифинге экспертам из Советского космического исследовательского института, где обсуждались различные аномальные явления. К удивлению, повышенный интерес, проявленный к этой истории научными умами, был практически проигнорирован в Советском Союзе.
Поэтому возможно (только возможно), что Фобос 2 дал нам предварительную информацию о том, что будет обсуждаться на пресс–конференции 1 марта. В случае, если инфракрасные снимки, полученные от «Одиссея», будут хоть немного походить на данные Фобоса 2, НАСА придется очень постараться, чтобы скрыть информацию.
У нас было ощущение, что мы докопались до сути. Принимая во внимание, что НАСА довольно строго соблюдает правила игры и крепко связано «брукингскими» законами поведения, мы не могли не заметить одно необычное совпадение: снимки, полученные от Фобоса 2, были сделаны 1 марта 1989 ровно на тринадцать лет раньше предстоящей конференции.
На этом основании мы ожидали, что НАСА на конференции предъявит изображения, сделанные, скорее всего, в районе Гидроэйтс Хаос. Нам оставалось подождать всего несколько дней, чтобы увидеть, были ли мы правы.
Как мы и предполагали, мы попали прямо в точку, приняв во внимание склонность НАСА ко всякого рода ритуалам и символам. Ровно через тринадцать лет после того, как Фобос 2 сделал снимки района Гидроэйтс Хаос на Марсе, НАСА представило новую серию фотографий с «Марс Одиссея 2001». Бесспорно, ключевым стало изображение района Гидроэйтс Хаос. Даже координаты были похожие 0.9°N х 34.3°W (Фобос 2) в отличие от последних — 2°N х 29°W. Так что мы имели инфракрасное изображение примерно того же района, только тринадцать лет спустя после того момента, как такие же снимки сделал Фобос 2.

Что касается фотографии… Почти с самого начала большинство ученых на брифинге вели себя как- то нервно и неуверенно, особенно раздраженным был доктор Филип Кристенсен, именно он представлял изображение, сделанное инфракрасной камерой.
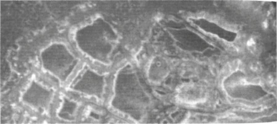
Так как Кристенсен довольно неуверенно выводил снимок на сборный экран, он даже не заметил поразительной ровности поверхности, это был какой- то «выровненный» Хаос. Но самым поразительным на снимке оказалась необыкновенная прочность каналов между «покрытыми песком ровными возвышениями» (как может песок оставаться на ровной поверхности вершины, так называемой «mesa», если его сносит порывистым ветром со скоростью около 300 миль/час). Каналы эти, казалось, были одинаковой ширины и оставались прочными на протяжении нескольких миль. Сами «mesas» были удивительно геометричными по форме, что не совсем объяснимо, принимая во внимание эрозийные процессы, по–видимому, во всем этом наблюдалась работа дьявола.

Последние увеличенные снимки продемонстрировали некоторые весьма необычные особенности этих вершин («mesas»). На них были видны «выемки» правильной геометрической формы или даже отверстия, в некоторых из них были заметны остатки засыпанного фундамента для больших объектов. Чуть выше на снимке находился какой- то странный «кратер», как будто прилепленный к вершине темного прямоугольника с невероятно прямыми краями. По–нашему мнению, это не могло быть последствием сканирования, а стало обычной привязкой к северу и югу, поэтому мы были склонны сомневаться в натуральности этого изображения.
Также нас порадовало очередное подтверждение приливной модели в виде информации, полученной с помощью спектрометра гамма–лучей. Несмотря на то, что его разрешение было довольно крупным и он до сих пор не использовался во всю силу, эксплуатирующая его команда во главе с д–ром Уильямом Бойнтоном собрали воедино несколько данных, полученных этим устройством даже в режиме ожидания.
Самой важной стала информация, собранная с помощью «высокоэнергетических нейтронов». Этот вид нейтронов полностью абсорбируется водородом, основным компонентом в составе воды и льда, поэтому, исследовав местность на их наличие, можно определить, существует ли, а если да, то в каких местах, вода на Марсе.